Þessi frétt er meira en árs gömul
Breyting á staðsetningu seiðaeldisstöðvar Laxós á Árskógssandi, Dalvíkurbyggð
7. nóvember 2023
Umhverfismat framkvæmda - ákvörðun um matsskyldu
Framkvæmd ekki háð mati á umhverfisáhrifum
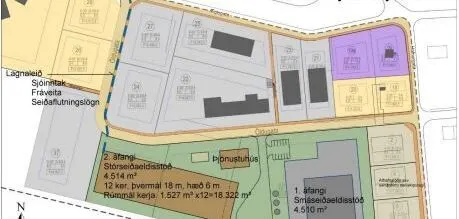
Skipulagsstofnun hefur tekið ákvörðun um að breyting á staðsetningu seiðaeldisstöðvar á Árskógssandi, Dalvíkurbyggð, skuli ekki háð mati á umhverfisáhrifum samkvæmt lögum nr. 111/2021.
Ákvörðun Skipulagsstofnunar er aðgengileg hér ásamt greinargerð framkvæmdaraðila, umsögnum umsagnaraðila, viðbrögðum framkvæmdaraðila og frekari svörum framkvæmdaraðila.
Ákvörðunina má kæra til úrskurðarnefndar umhverfis- og auðlindamála og er kærufrestur til 8. desember 2023.
